>> Åwªï±z¡A³X«È¡G µn¤J½×¾Â «ö³o¸Ìµù¥U §Ñ°O±K½X ¦b½u·|­û ¤å³¹·j´M ½×¾Â­·®æ  ¨Ï¥Î»¡©ú   ¥~±¾µ{¦¡   


>>> Áê§ÎÂΡB°ÂÂΡB¤Ñ¤û¡B½¹½ºµ¥©øÂΰQ½×¡C
©øÂν׾ ¡÷ ¡m©øÂΰQ½×°Ï¡n [ªð¦^] ¡÷ ÂsÄý¡G¥xÆWª÷Àt¨t¦C¤§25-- ¥xÆW7ºØ³´¯¾ ...¡@ ¥»¤å³¹¬°ºëµØ¤å³¹ ¼Ð°O½×¾Â©Ò¦³¤º®e¬°¤wŪ¨ú 

 ¥Ø«e½×¾ÂÁ`¦b½u 277 ¤H¡A¥»¥DÃD¦@¦³ 1 ¤HÂsÄý¡C¨ä¤¤µù¥U·|­û 0 ¤H¡A³X«È 1 ¤H¡C¡@ [Ãö³¬¸Ô²Ó¦W³æ]
µoªí¤@½g·s¥DÃD ¦^ÂФ峹 ¶}±Ò¤@­Ó·s§ë²¼ ¡»¦¹¤å³¹³Q¾\Ū 1195 ¦¸¡»¡@¡@ÂsÄý¤W¤@½g¥DÃD ¡@­«·s¾ã²z¥»¥DÃD  ¾ðª¬Åã¥Ü¤å³¹¡@ÂsÄý¤U¤@½g¥DÃD
 * ¤å³¹¥DÃD¡G ¥xÆWª÷Àt¨t¦C¤§25-- ¥xÆW7ºØ³´¯¾ª÷Àt¤§¶ÂÆA³´¯¾ªáª÷Àt ¥»¤å³¹¦³°ÝÃD¡A¶Ç°eµu°T®§³ø§iµ¹ª©¥D  ¥[¨ì§Úªº³Ì·R&Ãöª`¥»¤å³¹  Åã¥Ü¥i¦C¦Lªºª©¥»  §â¥»¤å³¹¥´¥]¶l±H  §â¥»¤å³¹¥[¨ì§Úªº³Ì·R  ¶Ç°e¥»­¶­±µ¹ªB¤Í   
 ampicillin00 
 ¾±³¹: µ½¤ßÀ²³¹,©øÂν׾¸q½æ¬¡°Êµ½¤ßÀ²³¹ µ½¤ßÀ²³¹,©øÂν׾¸q½æ¬¡°Êµ½¤ßÀ²³¹

 

µ¥¯Å: ºëÆF¤ý
¸ê®Æ: ¦¹·|­û¥Ø«e¤£¦b½u¤W ¥¼¦Ï ª÷¤û®y
«Â±æ: +3¡@¿n¤À: 390
²{ª÷: 87360 ©øÂιô
¦s´Ú: 10 ©øÂιô
¶U´Ú: ¨S¶U´Ú
¨Ó¦Û: «O±K¡@Taiwan
µo¤å: 282 ½g
ºëµØ: 15 ½g
¸ê®Æ: ¡@¡@
¦b½u: 863 ®É 41 ¤À 02 ¬í
µù¥U: 2002/03/07
µu°T®§¡@¬d¬Ý¡@·j´M¡@³q°T¿ý¡@¤Þ¥Î¡@¦^ÂФ峹¦^ÂС@[¼Ó ¥D]
  [³o½g¤å³¹³Ì«á¥Ñampicillin00¦b 2012/11/13 10:17:10am ²Ä 2 ¦¸½s¿è](HTX
»OÆWºÙ§@³´¯¾ªºª÷Àt¦³7ºØ *txAb
©©øÂν׾ -- ©øÂν׾¡@¡@ -O
1.¥_®H³´¯¾ªáª÷Àt Coelodera penicillata formosana Moser0
©©øÂν׾ -- ©øÂν׾¡@¡@ 2f-
¦¹¥DÃD¬ÛÃö¹Ï¤ù¦p¤U¡Gf
«ö¦¹¦b·sµøµ¡ÂsÄý¹Ï¤ùGb?
VuKiVn
«ö¦¹¬d¬Ý¹Ï¤ù¸Ô²Ó¸ê®Æ=_=
©©øÂν׾ -- ©øÂν׾¡@¡@ }
©©øÂν׾ -- ©øÂν׾¡@¡@ /
©©øÂν׾ -- ©øÂν׾¡@¡@ +!7I`S
2.µ³¤ò³´¯¾ªáª÷Àt Taeniodera flavofasciata formosana (Moser)V
©©øÂν׾ -- ©øÂν׾¡@¡@ l"{nYL
¦¹¥DÃD¬ÛÃö¹Ï¤ù¦p¤U¡G@W,%6
«ö¦¹¦b·sµøµ¡ÂsÄý¹Ï¤ùU!
5@DU
«ö¦¹¬d¬Ý¹Ï¤ù¸Ô²Ó¸ê®Æ@?q4B4
©©øÂν׾ -- ©øÂν׾¡@¡@ */p8Y:
©©øÂν׾ -- ©øÂν׾¡@¡@ _JSW[
©©øÂν׾ -- ©øÂν׾¡@¡@ w0`WD%
3.¶Â´³³´¯¾ªáª÷ÀtTaeniodera nigricollis viridula (Niijima et Matsumura)Zn*9d8
©©øÂν׾ -- ©øÂν׾¡@¡@ zI<L
¦¹¥DÃD¬ÛÃö¹Ï¤ù¦p¤U¡G9&,qVU
«ö¦¹¦b·sµøµ¡ÂsÄý¹Ï¤ù)t/
%
«ö¦¹¬d¬Ý¹Ï¤ù¸Ô²Ó¸ê®Æ:j2
©©øÂν׾ -- ©øÂν׾¡@¡@ J(_
©©øÂν׾ -- ©øÂν׾¡@¡@ 8Eg_5
©©øÂν׾ -- ©øÂν׾¡@¡@ izA
4.¶À´³³´¯¾ªáª÷Àt Euselates tonkinensis formosana Moserm{MUm
©©øÂν׾ -- ©øÂν׾¡@¡@ br
¦¹¥DÃD¬ÛÃö¹Ï¤ù¦p¤U¡G\Q\
«ö¦¹¦b·sµøµ¡ÂsÄý¹Ï¤ùyP\ j?
f>]6Gw
«ö¦¹¬d¬Ý¹Ï¤ù¸Ô²Ó¸ê®Æ};4&
©©øÂν׾ -- ©øÂν׾¡@¡@ G
©©øÂν׾ -- ©øÂν׾¡@¡@ /
©©øÂν׾ -- ©øÂν׾¡@¡@ N"xN::
5.¤ÚÄõ³´¯¾ªáª÷Àt Euselates perraudieri taivanica MiksucW..#
©©øÂν׾ -- ©øÂν׾¡@¡@ 9&gu
¦¹¥DÃD¬ÛÃö¹Ï¤ù¦p¤U¡GZbkVN
«ö¦¹¦b·sµøµ¡ÂsÄý¹Ï¤ùVnofEV
J
«ö¦¹¬d¬Ý¹Ï¤ù¸Ô²Ó¸ê®Æ=k[P_S
©©øÂν׾ -- ©øÂν׾¡@¡@ "ai1\
©©øÂν׾ -- ©øÂν׾¡@¡@ $U
©©øÂν׾ -- ©øÂν׾¡@¡@ p+T*d
6.¤e´³³´¯¾ªáª÷Àt Euselates proxima Miksic)Y
©©øÂν׾ -- ©øÂν׾¡@¡@ F%s>
¦¹¥DÃD¬ÛÃö¹Ï¤ù¦p¤U¡G7H W
«ö¦¹¦b·sµøµ¡ÂsÄý¹Ï¤ùj,+<4
t
«ö¦¹¬d¬Ý¹Ï¤ù¸Ô²Ó¸ê®Æ^\`
©©øÂν׾ -- ©øÂν׾¡@¡@ i"Y
©©øÂν׾ -- ©øÂν׾¡@¡@ dF`B5
©©øÂν׾ -- ©øÂν׾¡@¡@ j
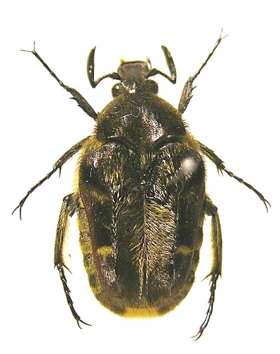
7.¶ÂÆA³´¯¾ªáª÷Àt Macranotops nigropubescens(Miksic)B\C,
©©øÂν׾ -- ©øÂν׾¡@¡@ }QZ-
¦¹¥DÃD¬ÛÃö¹Ï¤ù¦p¤U¡GU&yB
«ö¦¹¦b·sµøµ¡ÂsÄý¹Ï¤ùF}6/
K(BCk
«ö¦¹¬d¬Ý¹Ï¤ù¸Ô²Ó¸ê®Æ%r
©©øÂν׾ -- ©øÂν׾¡@¡@ T9"^
©©øÂν׾ -- ©øÂν׾¡@¡@ ^uf.R
©©øÂν׾ -- ©øÂν׾¡@¡@ DVs]\
¥H¤U¤¶²Ð¶ÂÆA³´¯¾ªáª÷Àt Macranotops nigropubescens(Miksic)Yv



µ¹µo¤åªÌ¤@­ÓÆg ¡@




http://blog.xuite.net/ampicillin00/twblog


µoªí¤å³¹®É¶¡2009/02/18 12:25:46pm¡@IP: ¤w³]©w«O±K[¥»¤å¦@ 1212 ¦ì¤¸²Õ]¡@ 
 ampicillin00 
 ¾±³¹: µ½¤ßÀ²³¹,©øÂν׾¸q½æ¬¡°Êµ½¤ßÀ²³¹ µ½¤ßÀ²³¹,©øÂν׾¸q½æ¬¡°Êµ½¤ßÀ²³¹

 

µ¥¯Å: ºëÆF¤ý
¸ê®Æ: ¦¹·|­û¥Ø«e¤£¦b½u¤W ¥¼¦Ï ª÷¤û®y
«Â±æ: +3¡@¿n¤À: 390
²{ª÷: 87360 ©øÂιô
¦s´Ú: 10 ©øÂιô
¶U´Ú: ¨S¶U´Ú
¨Ó¦Û: «O±K¡@Taiwan
µo¤å: 282 ½g
ºëµØ: 15 ½g
¸ê®Æ: ¡@¡@
¦b½u: 863 ®É 41 ¤À 02 ¬í
µù¥U: 2002/03/07
µu°T®§¡@¬d¬Ý¡@·j´M¡@³q°T¿ý¡@¤Þ¥Î¡@¦^ÂФ峹¦^ÂС@[²Ä 2 ¼Ó]
  ¶ÂÆA³´¯¾ªáª÷Àt Macranotopsnigropubescens(Miksic) d_wr
©©øÂν׾ -- ©øÂν׾¡@¡@ [
¦¹¥DÃD¬ÛÃö¹Ï¤ù¦p¤U¡G+
«ö¦¹¦b·sµøµ¡ÂsÄý¹Ï¤ùM?tr
4g
«ö¦¹¬d¬Ý¹Ï¤ù¸Ô²Ó¸ê®ÆR
©©øÂν׾ -- ©øÂν׾¡@¡@ Po
©©øÂν׾ -- ©øÂν׾¡@¡@ pKP'
¦¹¥DÃD¬ÛÃö¹Ï¤ù¦p¤U¡Gn7.*
«ö¦¹¦b·sµøµ¡ÂsÄý¹Ï¤ùm>
.Lod
«ö¦¹¬d¬Ý¹Ï¤ù¸Ô²Ó¸ê®Æw3IJ
©©øÂν׾ -- ©øÂν׾¡@¡@ TyX9[
©©øÂν׾ -- ©øÂν׾¡@¡@ 9:&:E
©©øÂν׾ -- ©øÂν׾¡@¡@ Ko7
³o°¦³´¯¾¤j·§¬O©Ò¦³ºÙ³´¯¾ª÷Àt¤¤ ¦â¿A ¥~«¬³Ì¤£°_²´ªº¤@°¦ ÅéÅÖ¤ò»á¦h4n)M
©©øÂν׾ -- ©øÂν׾¡@¡@ -K6'f`
¦¹¥DÃD¬ÛÃö¹Ï¤ù¦p¤U¡GrS"=W
«ö¦¹¦b·sµøµ¡ÂsÄý¹Ï¤ùvtq
@
«ö¦¹¬d¬Ý¹Ï¤ù¸Ô²Ó¸ê®ÆQc
©©øÂν׾ -- ©øÂν׾¡@¡@ #t
©©øÂν׾ -- ©øÂν׾¡@¡@ <y
©©øÂν׾ -- ©øÂν׾¡@¡@ M
¶Â¦Çªº¦â¿A Åý¥¦¤ñ¤£¤W¨ä¥¦ºÙ³´¯¾ªºª÷Àt«G²´\nN&LN
¦ý¨ä¤½ÂÎIJ¨¤¤ùª¬³¡¬O©Ò¦³ºÙ³´¯¾ª÷Àt¤¤³Ì¤j¥Bªøªº/c#E?9
¤½ÂÎ1©©øÂν׾ -- ©øÂν׾¡@¡@ $`#aqK
©©øÂν׾ -- ©øÂν׾¡@¡@ Yo1dd
¦¹¥DÃD¬ÛÃö¹Ï¤ù¦p¤U¡G0
«ö¦¹¦b·sµøµ¡ÂsÄý¹Ï¤ùWR^
[!Mpd
«ö¦¹¬d¬Ý¹Ï¤ù¸Ô²Ó¸ê®Æ#J
©©øÂν׾ -- ©øÂν׾¡@¡@ 4)Qn
©©øÂν׾ -- ©øÂν׾¡@¡@ Te=vI
©©øÂν׾ -- ©øÂν׾¡@¡@ Mhu>
¤½ÂÎ2©©øÂν׾ -- ©øÂν׾¡@¡@ E<6V|;
©©øÂν׾ -- ©øÂν׾¡@¡@ \s
¦¹¥DÃD¬ÛÃö¹Ï¤ù¦p¤U¡GF:e3]
«ö¦¹¦b·sµøµ¡ÂsÄý¹Ï¤ùvQ{2
>:nQ{9
«ö¦¹¬d¬Ý¹Ï¤ù¸Ô²Ó¸ê®Æh
©©øÂν׾ -- ©øÂν׾¡@¡@ ='Q;
©©øÂν׾ -- ©øÂν׾¡@¡@ /0I>iB
©©øÂν׾ -- ©øÂν׾¡@¡@ ib
¥ÀÂΩ©øÂν׾ -- ©øÂν׾¡@¡@ Bi
©©øÂν׾ -- ©øÂν׾¡@¡@ u^C79$
¦¹¥DÃD¬ÛÃö¹Ï¤ù¦p¤U¡G#n
«ö¦¹¦b·sµøµ¡ÂsÄý¹Ï¤ù kHcu3
$=`d
«ö¦¹¬d¬Ý¹Ï¤ù¸Ô²Ó¸ê®ÆJJf;$F
©©øÂν׾ -- ©øÂν׾¡@¡@ D?V~`
©©øÂν׾ -- ©øÂν׾¡@¡@ N<CnV
©©øÂν׾ -- ©øÂν׾¡@¡@ }bi
¥~§Î¯S¼x: ;]h
1.Åéªø: 17¡V19mm¡Cg}ZRb8
2.Åé¦â:¶Â¦Ü¦Ç¶Â¦â¡A ÀT¯Í¨âÃä¦U¨ã¤@Áa绫½u¡A¤W§Gº¡¦Ç¶ÀÅÖ¤ò¡A$@
¨â®Ç¦U¨ã2­Ó¶À¦â´³¯¾¡A§À¹¢ªO¤¤¥¡©ö¨ãÁa¶À´³¡A³¡¤À­ÓÅé¸û¤£©úÅãb@
©©øÂν׾ -- ©øÂν׾¡@¡@ (V0
¦¹¥DÃD¬ÛÃö¹Ï¤ù¦p¤U¡G5,8T
«ö¦¹¦b·sµøµ¡ÂsÄý¹Ï¤ùm
#q;
«ö¦¹¬d¬Ý¹Ï¤ù¸Ô²Ó¸ê®Æ!(swj
©©øÂν׾ -- ©øÂν׾¡@¡@ mi.J\
©©øÂν׾ -- ©øÂν׾¡@¡@ 3`!g
3.¸¡³¡: ¸¡³¡¶Â¦â¦Ü´Ä¶Â¡A ¤¤¯Ý¬ð°_§e¤T¨¤§Î¡A¤½ÂΨã¸û±K¦Ç¶ÀÅÖ¤ò¡A¥ÀÂθûµ}²¨¡CB-3~
©©øÂν׾ -- ©øÂν׾¡@¡@ -{v
¥ÍºA²ß©Ê: j'_(!H
1.7¡V8¤ë¥X²{¡C>7:BX[
2.¥®ÂÎ¥i©ó¦´¤ìÀY¤¤±Ä¶°¨ì¡C 3.¤À§G®ü©Þµy°ª¡A¤À§G«Ü¼sªººØÃþ¡C{{]@
©©øÂν׾ -- ©øÂν׾¡@¡@ \kPw$
¦ý¤@¯ë¦Ó¨¥±Ä¶°¼Æ«Ü¤Ö¡A±Ä¨ì¸û¤jªº¾÷²v³£¬O¦´¤ì±Ä¶°ªk¸û¦h¡CH+?.
©©øÂν׾ -- ©øÂν׾¡@¡@ D$
¬Æ¦Ü¦h¨ì¥i¥H¤jÁx¹w´ú¥u­n¬O¦´¤ì¤¤±Ä¨ìªº³´¯¾ª÷Àt¥®ÂΦ³·¥¤jªº¾÷·|³£¬O¨e(¨ä¥¦³´¯¾¤Ï¦Ó¸û¤Ö)Dp4
ÃêK¡A²M¹Ò¤]¦³¡Aªü¨½¤s¤]¦³¡AYang¤j¤]´¿¶K¹L¥_³¡ªº¡A ¥i¨£¨e¬O¤À§G«Ü¼sªººØÃþ¡C ¦´¤ì¤¤ªº¼Æ¶q¤£ºâ¤Ö¡A¨£¨ìªºÀW²v¤]¤£§C¡A±À·Q³¥¥~±Ú¸sÀ³¦³¤@©w¼Æ¶q¡A¨e·|³Xªá¡A¦ý¼´ªá«ÜÃø±Ä¨ì¡A­ì¦]§Ú·Q¬O(ps.¨e¥i¯à¯uªº¼Æ¶q¤£¤Ö)¨e"­¸¦æ¯à¤O"¯uªº«Ü¦n¡A¤@¼´´N­¸4
§Ú­Ì¥Î¼´ªº¤è¦¡ §Ú­Ì¥u¼´¤¤¹L¤@¨â¦¸¦Ó¤w¡A·QÀ³¸Ó¹B®ð¬Û·í¦n¤~¤Jºôªº¡A·Q§ì³o°¦¥Î¼´ªºÀ³¸Ó¬O¤£¹ê»Úªº¡A¦´¤ì±Ä¶°À³¸Ó·|¸û°È¹ê¤@ÂI¡C)4rpRR
©©øÂν׾ -- ©øÂν׾¡@¡@ ndJ#
4.¹}¾iªº¸Ü¡A¦¹Àt®e©öÁc´Þ¡C)r:w
¸û¤£·|¦³¤½¥À¤£¥æ°tªº°ÝÃD¥X²{Bz(^T|
22-24«×ªº·Å«×À³¸Ó¹ï¨e­Ì´N«Ü¦X¾A¤F+IzGK
¥®Âι}¾i¤]¬Û·í²³æ¡A¥Î¤ì®h´N¥i¥H¤F¡A«Ü¤Ö·|¦³¦º¤`µo¥Í¡CW+
³oÂI¤]¬O§Ú­Ì±À½×³¥¥~¼Æ¶q¦hªº²z¥Ñ¤§¤@¡C m6
©©øÂν׾ -- ©øÂν׾¡@¡@ 0#
¤½¥À°Ï¤À.
©©øÂν׾ -- ©øÂν׾¡@¡@ `V~
¦¹¥DÃD¬ÛÃö¹Ï¤ù¦p¤U¡G"
«ö¦¹¦b·sµøµ¡ÂsÄý¹Ï¤ùj!q26r
f(W
«ö¦¹¬d¬Ý¹Ï¤ù¸Ô²Ó¸ê®Æ'vJuv
©©øÂν׾ -- ©øÂν׾¡@¡@ #D}x
©©øÂν׾ -- ©øÂν׾¡@¡@ Q@1#e
¦¹¥DÃD¬ÛÃö¹Ï¤ù¦p¤U¡GwATE^
«ö¦¹¦b·sµøµ¡ÂsÄý¹Ï¤ùY?^>
>
«ö¦¹¬d¬Ý¹Ï¤ù¸Ô²Ó¸ê®Æ`N1\
©©øÂν׾ -- ©øÂν׾¡@¡@ 3
©©øÂν׾ -- ©øÂν׾¡@¡@ @AU
1.«e¸}×H¸`:¥À¼e©ó¤½¡CnvC;
©©øÂν׾ -- ©øÂν׾¡@¡@ b+W2
2.«á¸}×H¸`¤W¦³¾ï¤ò: ¦³¬°¤½ÂεL«h¥ÀÂΡC{TO
©©øÂν׾ -- ©øÂν׾¡@¡@ lPua
3.IJ¨¤¤ùª¬³¡:¤½ÂΤj¥Bªø¡CQ`:
©©øÂν׾ -- ©øÂν׾¡@¡@ 8:j_Z|
4.¤½Âίݸ¡³¡ÅÖ¤ò¸û±K¡C4Il
©©øÂν׾ -- ©øÂν׾¡@¡@ z
5.¤½Âθ¡³¡§e¤}ª¬ ¥ÀÂι¡º¡qgIn{_
©©øÂν׾ -- ©øÂν׾¡@¡@ 6,~SY
¦¹¥DÃD¬ÛÃö¹Ï¤ù¦p¤U¡Gh_U.
«ö¦¹¦b·sµøµ¡ÂsÄý¹Ï¤ùiGz|t>
;1A(i
«ö¦¹¬d¬Ý¹Ï¤ù¸Ô²Ó¸ê®Æ3d
©©øÂν׾ -- ©øÂν׾¡@¡@ }6,W
¤½ÂΩ©øÂν׾ -- ©øÂν׾¡@¡@ M5,
¦¹¥DÃD¬ÛÃö¹Ï¤ù¦p¤U¡GT3GYX
«ö¦¹¦b·sµøµ¡ÂsÄý¹Ï¤ù%
#mBx
«ö¦¹¬d¬Ý¹Ï¤ù¸Ô²Ó¸ê®Æ_!
©©øÂν׾ -- ©øÂν׾¡@¡@ 6lC
¥ÀÂΩ©øÂν׾ -- ©øÂν׾¡@¡@ Mg
©©øÂν׾ -- ©øÂν׾¡@¡@ a
»áÀuªºÁc´Þ¤å³¹:vLVe
ªü­Æ
\sR
~¶ÂÆv³´¯¾¹}¨|¬ö¿ý(1)~t!"`+x
http://insectforum.no-ip.org/gods/cgi-bin/topic.cgi?forum=2&topic=3525Zt2
©©øÂν׾ -- ©øÂν׾¡@¡@ v$
~¶ÂÆv³´¯¾¹}¨|¬ö¿ý(2)~_`
http://insectforum.no-ip.org/gods/cgi-bin/topic.cgi?forum=2&topic=9364        &9
©©øÂν׾ -- ©øÂν׾¡@¡@ }0?`1
°Ñ¦Ò¸ê®Æ:¤ì¥Í´Ó­¹©Êª÷Àt:."GqX
©©øÂν׾ -- ©øÂν׾¡@¡@ :9Fv<V
                ¼Ð¥»¨Ó·½: tacoma[#^
©©øÂν׾ -- ©øÂν׾¡@¡@ y4.
ps:  [·PÁ´£¨Ñ¸ê®ÆªºÂΤͭÌqS
¤@ºØª«ºØªº¤F¸Ñ ³z¹L¤j®aªº¸ê®Æ´£¨Ñ»P°Q½×, §ó¬O¯à§¹¾ã©PÄYªº9DYXu
¨Ã¤]§Æ±æ¤j®a¯à¹ï®Ñ¼g¦³»~³B,¯à§iª¾§ó§ï ÁÂÁÂP+f
©©øÂν׾ -- ©øÂν׾¡@¡@ wb
©©øÂν׾ -- ©øÂν׾¡@¡@ _*fVrl
©©øÂν׾ -- ©øÂν׾¡@¡@ @-:IK;
©©øÂν׾ -- ©øÂν׾¡@¡@ wSd
©©øÂν׾ -- ©øÂν׾¡@¡@ 5
©©øÂν׾ -- ©øÂν׾¡@¡@ mM$0



µ¹µo¤åªÌ¤@­ÓÆg ¡@




http://blog.xuite.net/ampicillin00/twblog


µoªí¤å³¹®É¶¡2009/02/18 12:50:49pm¡@IP: ¤w³]©w«O±K[¥»¤å¦@ 2665 ¦ì¤¸²Õ]¡@ 
 ªÚ710614 
 ¾±³¹: µ½¤ßÀ²³¹X5,©øÂν׾µ½¤ßÀ²³¹X5 µ½¤ßÀ²³¹X5,©øÂν׾µ½¤ßÀ²³¹X5 µ½¤ßÀ²³¹,©øÂν׾¸q½æ¬¡°Êµ½¤ßÀ²³¹




µ¥¯Å: ¤j¤Ñ¨Ï
¸ê®Æ: ¦¹·|­û¥Ø«e¤£¦b½u¤W «Ó­ô ¥¼¦Ï ³B¤k®y
«Â±æ: +1¡@¿n¤À: 1573
²{ª÷: 420719 ©øÂιô
¦s´Ú: >9999999999999
¶U´Ú: ¨S¶U´Ú
¨Ó¦Û: »OÆW»O¥_¡@Taiwan
µo¤å: 1507 ½g
ºëµØ: 1 ½g
¸ê®Æ: ¡@
¦b½u: 166¤Ñ16®É34¤À15¬í
µù¥U: 2004/09/02
µu°T®§¡@¬d¬Ý¡@·j´M¡@³q°T¿ý¡@¤Þ¥Î¡@¦^ÂФ峹¦^ÂС@[²Ä 3 ¼Ó]
  ­ì¨Ó¶ÂÆA³´¯¾ªáª÷Àt¦³­þ»ò¦hºØ­ùK
·PÁÂampicillin00¤j¤jM~U,d=
Åý¤p§Ì¤Sªø¤F£¸¥÷ª¾ÃÑ'yTIk



µ¹µo¤åªÌ¤@­ÓÆg ¡@




¸Û¼x¦U²£¦aªº¶ê¯Í¿÷¼Ð¥»¡ã¤j¤p¤£©ë¡I¡I
¤×¨ä¬O¹ü.¶³.¹Å.«nµ¥¿¤¥«ªº­ÓÅé¡ã¡ãÅwªï¨Ó°T
¨C¦~4¡ã9¤ë¤p§Ì·|§e²{¼É¨«¤Î±j­¢¯gª¬ºA
¦p¦³¹q¸Ü¥´¤£³q,¦^À³½wºC©M¨ä¥L½Ñ¦h«åºC¤§³B
½Ð¦h¦h¥]§t
¡ã¦n°²..§O°²¤F..¦A°²¤U¥h´N¤£¹³¤F....


µoªí¤å³¹®É¶¡2009/02/18 01:13:04pm¡@IP: ¤w³]©w«O±K[¥»¤å¦@ 106 ¦ì¤¸²Õ]¡@ 
 ampicillin00 
 ¾±³¹: µ½¤ßÀ²³¹,©øÂν׾¸q½æ¬¡°Êµ½¤ßÀ²³¹ µ½¤ßÀ²³¹,©øÂν׾¸q½æ¬¡°Êµ½¤ßÀ²³¹

 

µ¥¯Å: ºëÆF¤ý
¸ê®Æ: ¦¹·|­û¥Ø«e¤£¦b½u¤W ¥¼¦Ï ª÷¤û®y
«Â±æ: +3¡@¿n¤À: 390
²{ª÷: 87360 ©øÂιô
¦s´Ú: 10 ©øÂιô
¶U´Ú: ¨S¶U´Ú
¨Ó¦Û: «O±K¡@Taiwan
µo¤å: 282 ½g
ºëµØ: 15 ½g
¸ê®Æ: ¡@¡@
¦b½u: 863 ®É 41 ¤À 02 ¬í
µù¥U: 2002/03/07
µu°T®§¡@¬d¬Ý¡@·j´M¡@³q°T¿ý¡@¤Þ¥Î¡@¦^ÂФ峹¦^ÂС@[²Ä 4 ¼Ó]
 
¤U­±¤Þ¥Î¥ÑªÚ710614¦b 2009/02/18 01:13pm µoªíªº¤º®e¡GjF??
­ì¨Ó¶ÂÆA³´¯¾ªáª÷Àt¦³­þ»ò¦hºØ­ù_
·PÁÂampicillin00¤j¤j{~3zy:
Åý¤p§Ì¤Sªø¤F£¸¥÷ª¾ÃÑmN$rQ

|s
ªüªÚ:©©øÂν׾ -- ©øÂν׾¡@¡@ Z
¶ÂÆA³´¯¾ªáª÷Àt¥u¦³¤@ºØ°Õ ¥xÆWª÷Àt¤¤¤å¦W¤l¤¤¦³³´¯¾2¦r?
¤~¬O7ºØ°Õ &QR|z



µ¹µo¤åªÌ¤@­ÓÆg ¡@




http://blog.xuite.net/ampicillin00/twblog


µoªí¤å³¹®É¶¡2009/02/18 05:14:54pm¡@IP: ¤w³]©w«O±K[¥»¤å¦@ 297 ¦ì¤¸²Õ]¡@ 
 ªá»jµï 




µ¥¯Å: ºëÆF¤ý
¸ê®Æ: ¦¹·|­û¥Ø«e¤£¦b½u¤W
«Â±æ: 0¡@¿n¤À: 274
²{ª÷: 41117 ©øÂιô
¦s´Ú: ¨S¶}¤á
¶U´Ú: ¨S¶U´Ú
¨Ó¦Û: «O±K¡@blank
µo¤å: 159 ½g
ºëµØ: 0 ½g
¸ê®Æ: ¡@
¦b½u: 822 ®É 43 ¤À 37 ¬í
µù¥U: 2008/12/12
µu°T®§¡@¬d¬Ý¡@·j´M¡@³q°T¿ý¡@¤Þ¥Î¡@¦^ÂФ峹¦^ÂС@[²Ä 5 ¼Ó]
  ¦³¤@¦~¡A¥_®H³´¯¾ªáª÷ÀtÁÙ¶]¨Ó®a¤¤¶§¥xªá¬Ö¤¤²£§Z¡A¹j¦~¬K¤Ñ¥X¤@°ïª÷Àt:?a?



µ¹µo¤åªÌ¤@­ÓÆg ¡@




µoªí¤å³¹®É¶¡2009/02/18 06:04:27pm¡@IP: ¤w³]©w«O±K[¥»¤å¦@ 90 ¦ì¤¸²Õ]¡@ 
 ÅK¥ÒµL¼Ä 
 ¾±³¹: µ½¤ßÀ²³¹,©øÂν׾¸q½æ¬¡°Êµ½¤ßÀ²³¹ µ½¤ßÀ²³¹,©øÂν׾¸q½æ¬¡°Êµ½¤ßÀ²³¹ µ½¤ßÀ²³¹,©øÂν׾¸q½æ¬¡°Êµ½¤ßÀ²³¹ µ½¤ßÀ²³¹,©øÂν׾¸q½æ¬¡°Êµ½¤ßÀ²³¹ µ½¤ßÀ²³¹,©øÂν׾¸q½æ¬¡°Êµ½¤ßÀ²³¹




µ¥¯Å: ­·¶³¨ÏªÌ
¸ê®Æ: ¦¹·|­û¥Ø«e¤£¦b½u¤W «Ó­ô ³B¤k®y
«Â±æ: 0¡@¿n¤À: 459
²{ª÷: 1292 ©øÂιô
¦s´Ú: 178541 ©øÂιô
¶U´Ú: ¨S¶U´Ú
¨Ó¦Û: «O±K¡@Taiwan
µo¤å: 457 ½g
ºëµØ: 0 ½g
¸ê®Æ: ¡@
¦b½u: 316 ®É 21 ¤À 22 ¬í
µù¥U: 2007/11/24
µu°T®§¡@¬d¬Ý¡@·j´M¡@³q°T¿ý¡@¤Þ¥Î¡@¦^ÂФ峹¦^ÂС@[²Ä 6 ¼Ó]
  ½Ð°Ý¥_®H©M¶Â¯¾¤Î¶À¯¾¬OÄݦa®ü©Þªº¶Ü?;L',7
¦]¬°¥H«e¦b­ZªL¤s°Ï¦´¤ì¤¤§ä¨ì¹L!:HI



µ¹µo¤åªÌ¤@­ÓÆg ¡@




µoªí¤å³¹®É¶¡2009/02/18 07:20:55pm¡@IP: ¤w³]©w«O±K[¥»¤å¦@ 98 ¦ì¤¸²Õ]¡@ 
 ampicillin00 
 ¾±³¹: µ½¤ßÀ²³¹,©øÂν׾¸q½æ¬¡°Êµ½¤ßÀ²³¹ µ½¤ßÀ²³¹,©øÂν׾¸q½æ¬¡°Êµ½¤ßÀ²³¹

 

µ¥¯Å: ºëÆF¤ý
¸ê®Æ: ¦¹·|­û¥Ø«e¤£¦b½u¤W ¥¼¦Ï ª÷¤û®y
«Â±æ: +3¡@¿n¤À: 390
²{ª÷: 87360 ©øÂιô
¦s´Ú: 10 ©øÂιô
¶U´Ú: ¨S¶U´Ú
¨Ó¦Û: «O±K¡@Taiwan
µo¤å: 282 ½g
ºëµØ: 15 ½g
¸ê®Æ: ¡@¡@
¦b½u: 863 ®É 41 ¤À 02 ¬í
µù¥U: 2002/03/07
µu°T®§¡@¬d¬Ý¡@·j´M¡@³q°T¿ý¡@¤Þ¥Î¡@¦^ÂФ峹¦^ÂС@[²Ä 7 ¼Ó]
 
¤U­±¤Þ¥Î¥Ñªá»jµï¦b 2009/02/18 06:04pm µoªíªº¤º®e¡G8#
¦³¤@¦~¡A¥_®H³´¯¾ªáª÷ÀtÁÙ¶]¨Ó®a¤¤¶§¥xªá¬Ö¤¤²£§Z¡A¹j¦~¬K¤Ñ¥X¤@°ïª÷ÀtY~

R[#
¥_®H³o°¦ §Ú¨S¥Î»G´Ó¤gÁc´Þ¹L ­Ë¬O¶À´³³´¯¾¥i¥Î»G´Ó¤g-b
ÁÂÁ©©øÂν׾ -- ©øÂν׾¡@¡@ Vm
©©øÂν׾ -- ©øÂν׾¡@¡@ DN{ni0

¤U­±¤Þ¥Î¥ÑÅK¥ÒµL¼Ä¦b 2009/02/18 07:20pm µoªíªº¤º®e¡G>RK9
½Ð°Ý¥_®H©M¶Â¯¾¤Î¶À¯¾¬OÄݦa®ü©Þªº¶Ü?xf>\a
¦]¬°¥H«e¦b­ZªL¤s°Ï¦´¤ì¤¤§ä¨ì¹L!'+

v
©©øÂν׾ -- ©øÂν׾¡@¡@ d/<&
¥B°Ý¶Â¯¾¬O«ü¶Â´³³´¯¾¶Ü~`^/{.
­Y¬O¦¹¤TºØÄݤ¤§C®ü©Þ]
¦]¦¹¥i´MÀò\t6:#'
ÁÂÁ´£¨Ñ¸ê°TM&b



µ¹µo¤åªÌ¤@­ÓÆg ¡@




http://blog.xuite.net/ampicillin00/twblog


µoªí¤å³¹®É¶¡2009/02/19 12:34:09pm¡@IP: ¤w³]©w«O±K[¥»¤å¦@ 498 ¦ì¤¸²Õ]¡@ 

 ¦¹¥DÃD¥u¦³¤@­¶

§Ö³t¦^ÂÐ¥DÃD: ¥xÆWª÷Àt¨t¦C¤§25-- ¥xÆW7ºØ³´¯¾ª÷Àt¤§¶ÂÆA³´¯¾ªáª÷Àt
±z¥Ø«eªº¨­¥÷¬O¡G ³X«È ¡A­n¨Ï¥Î¨ä¥L·|­û¨­¥÷¡A½Ð¿é¤J·|­û¦WºÙ©M±K½X¡C¥¼µù¥U³X«È½Ð¿é¤Jºô¦W¡A±K½X¯dªÅ¥Õ¡C
¿é¤J·|­û¦WºÙ©M±K½X: ·|­û¦WºÙ: ¨S¦³µù¥U¡H¡@±K½X: §Ñ°O±K½X¡H
¤W¶Çªþ¥ó©Î¹Ï¤ù (³Ì¤j®e¶q 500KB)
¥Ø«eªþ¥ó:(¦p¤£»Ý­n¬Y­Óªþ¥ó¡A¥u»Ý§R°£¤º®e¤¤ªº¬ÛÃö [UploadFile ...] ¼ÐÅÒ§Y¥i) [§R°£]
¿ï¶µ

¨Ï¥Î LeoBBS ¼ÐÅÒ¡H
Åã¥Ü±zªºÃ±¦WÀÉ¡H
¦³¦^ÂЮɨϥζl¥ó³qª¾±z¡H
¨Ï¥Îªí±¡²Å¸¹Âà´«¡H
¨Ï¥Î¦r«¬¼Ë¦¡Âà´«¡H

¡@¡@¡@¡@§Ö³t¤Þ¥Î²Ä ¼Ó¼hªº¦^ÂÐ
 ³»ºÝ¡@¥[¨ì"§Úªº³Ì·R" ¥DÃDºÞ²z¡G Á`©T³» ¨ú®øÁ`©T³» °Ï©T³» ¨ú®ø°Ï©T³» ©T³» ¨ú®ø©T³»
¨I©³ ¥[­« ¨ú®ø¥[­« ºëµØ ¨ú®øºëµØ ´£¤É Âê©w ¸ÑÂê §R°£ §R°£¦^ÂÐ ²¾°Ê


© ¤¤¤åª©Åv©Ò¦³¡G©øÂν׾¡@ÁcÅ骩Åv©Ò¦³¡G ¼¯¥§ºô
µ{¦¡ª©Åv©Ò¦³¡G ¹p¶Æ¬ì§Þ¡@ µ{¦¡Â½Ä¶¡Gauron¡@ ª©¥»¡G LeoBBS X Build050318