|
|
|
台灣蟲之一:長鬚金龜
(這篇文章已經被閱讀了 5087 次) 時間:2008/12/01 10:19:53am 來源:Rosalia
[這篇文章最後由Rosalia在 2008/12/02 10:28am 第 6 次編輯]
最近昆論的台灣蟲似乎跟前兩天的氣溫一樣,冷颼颼地。不過台灣蟲還是對個人比較有吸引力,所以上來貼貼台灣蟲,希望大家一頭熱衷於外國蟲時,也能回過頭來來關心一下台灣蟲,首先以長鬚金龜做為開端吧! Polyphylla (長鬚金龜屬) 目前共記錄了 6 種,這一屬金龜的雄蟲觸角鰓葉特別發達,而且成蟲也會發出兜一般的嘶嘶聲,除了台灣白條金龜以外,其他的種類皆不太常見或呈現局部分布的形式。
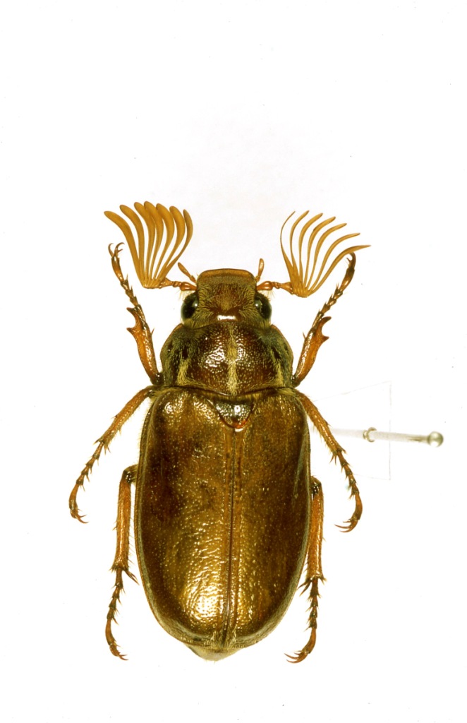
台灣長鬚金龜 Polyphylla formosana Niijima et Kinoshita, 1923 體長 35~47 mm 這是本屬中最大型的種類,記得30 年前在指南宮就看得到,近年來似乎在野外很難發現,棲息在低海拔的雜木林,在台北縣、桃園縣、新竹縣及苗栗縣的部分郊山可以發現。
此主題相關圖片如下:


按此查看圖片詳細資料
此主題相關圖片如下:


按此查看圖片詳細資料
台灣白條金龜 Polyphylla taiwana (Sawada, 1950) 體長 28~35 mm 這是最常見的種類,從平地到海拔 2300 公尺左右的山區都有可能發現。
此主題相關圖片如下:


按此查看圖片詳細資料
姬白條金龜 Polyphylla minor Nomura, 1977 體長 17~23 mm 很像台灣白條的縮小版,分布於 600 ~ 2100 公尺山區,目前只發現於南投縣及花蓮縣。
此主題相關圖片如下:


按此查看圖片詳細資料
微白條金龜 Polyphylla parva H. Kobayashi et Chou, 2008 體長 15~18 mm 這是今年才發表的新種,比姬白條金龜小了一號,也是台灣產本屬中最小型的種類,分布在東部的平地。
此主題相關圖片如下:


按此查看圖片詳細資料
淡水長鬚金龜 Polyphylla dahnshuensis Li et Yang, 1997] 體長 19~22 mm 這種的前、中後胸腹板具有明顯的長毛,出現在本島西部的沙質海岸。
此主題相關圖片如下:


按此查看圖片詳細資料
此主題相關圖片如下:


按此查看圖片詳細資料
安南長鬚金龜 Polyphylla annamensis (Fleutiaux, 1887) 體長 21~24 mm 這是今年才發表的馬祖新記錄種,出現在馬祖的沙質海岸。
此主題相關圖片如下:


按此查看圖片詳細資料
| d415135 |
發表於: 2008/12/01 08:26:35pm
|
大大的標本做的真好 我在宜蘭也有抓到台灣白條金龜 而且數量好像蠻多的 |
頂部 |
| Rosalia |
發表於: 2008/12/02 10:30:15am
|
下面引用由葉子蟲在 2008/12/01 10:35pm 發表的內容: 欣賞周老師的圖文真是享受呀! 如能加註金龜的尺寸(mm), 會讓我們更貼近真實, 有助於野外觀察! ...
|
|
感謝葉子蟲的建議 已經加註體長 |
頂部 |
| 小馬 |
發表於: 2008/12/03 06:48:13pm
|
周大哥,跟貼一下∼∼∼今年採集到的長鬚金龜
叫聲真的很大,樹一搖,就知道牠在上面了!!
此主題相關圖片如下:


按此查看圖片詳細資料
此主題相關圖片如下:


按此查看圖片詳細資料
|
頂部 |
| InsectLover |
發表於: 2008/12/04 09:33:15pm
|
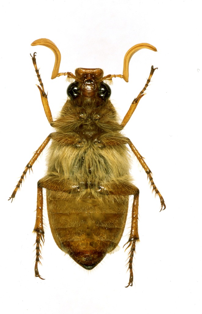
看到這篇想起剛好有隻蟲不認得,能否麻煩周兄或蟲友幫忙看一下,像機最近壞掉,用以前老像機拍的不好,請見諒。 蟲體10mm 含鬚約13.5mm 北部海拔800m處發現
此主題相關圖片如下:


按此查看圖片詳細資料
|
頂部 |
| Rosalia |
發表於: 2008/12/04 09:51:26pm
|
下面引用由InsectLover在 2008/12/04 09:33pm 發表的內容: 看到這篇想起剛好有隻蟲不認得,能否麻煩周兄或蟲友幫忙看一下,像機最近壞掉,用以前老像機拍的不好,請見諒。 蟲體10mm 含鬚約13.5mm 北部海拔800m處發現
|
|
應該是江崎細金龜 Hexataenius ezakii (Niijima et Kinoshita, 1923)
|
頂部 |
|
|