|
|
|
微翅跳螳螂Amantis nawai-螳螂科 Mantidae
(這篇文章已經被閱讀了 4470 次) 時間:2009/07/16 04:59:44pm 來源:小黑蟲
[這篇文章最後由小黑蟲在 2009/07/20 08:39am 第 7 次編輯]
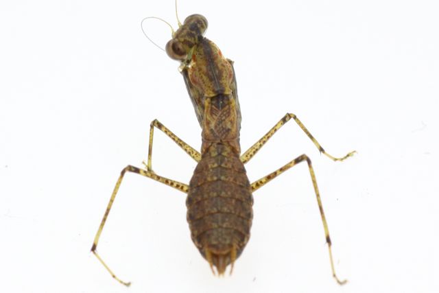
中名:微翅跳螳螂 學名:Amantis nawai (Shiraki, 1908)
分類:螳螂目 Mantodea 螳螂科 Mantidae 微翅螳屬 Amantis
此主題相關圖片如下:


按此查看圖片詳細資料
照片1. 雌蟲。
此主題相關圖片如下:


按此查看圖片詳細資料
照片2. 雌蟲的翅膀。
此主題相關圖片如下:


按此查看圖片詳細資料
照片3. 捕捉足。
此主題相關圖片如下:


按此查看圖片詳細資料
照片4. 螵蛸,前天餵食之後時候昨天生一顆,今天晚上又生一顆了;至目前為止飼養約十天就產兩顆了。
此主題相關圖片如下:


按此查看圖片詳細資料
照片5. 眼睛。
拍攝時間:2009 七月 2009/07/17 補上螵蛸附比例尺照片
| summer |
發表於: 2009/07/17 01:00:19pm
|
------------------------------------------------------------------- 螳螂目板主 在 2009/07/26 11:15 由於此文章對 summer 進行如下操作: 獎勵積分 50 理由: 感謝提供精美圖片 -------------------------------------------------------------------
[LIKE=s950239;=LIKE] 這隻超可愛小型螳螂....微翅跳螳 之前野外也有發現 跟貼兩張...
此主題相關圖片如下:


按此查看圖片詳細資料
此主題相關圖片如下:


按此查看圖片詳細資料
|
頂部 |
| 小黑蟲 |
發表於: 2009/07/19 08:15:42pm
|
想請有養過的大大 大概螵蛸什麼時候會孵化呢? |
頂部 |
| xul4fu3tjp6 |
發表於: 2009/07/19 11:51:53pm
|
大概一兩個月會孵出吧 出來很小隻. 之前拿黑頭荒蟻試餵牠.結果被餵了.. 出來真的很小隻..大概狂蟻大小.. 大概餵小芽蟲或跳蟲之類了.. 好像也有人餵甲蟲身上的螨. |
頂部 |
| KIMURA |
發表於: 2009/07/20 00:28:23am
|
2樓貼的微翅跳是公的 剛好可以與樓主的母螳做比較 感謝分享圖片
|
頂部 |
| 小黑蟲 |
發表於: 2009/07/20 00:42:00am
|
下面引用由KIMURA在 2009/07/20 00:28am 發表的內容: 2樓貼的微翅跳是公的 剛好可以與樓主的母螳做比較 感謝分享圖片
|
|
原來如此 我將標題改過了 要是有人能補上長翅型雄蟲就更棒了
下面引用由xul4fu3tjp6在 2009/07/19 11:51pm 發表的內容: 大概一兩個月會孵出吧 出來很小隻. 之前拿黑頭荒蟻試餵牠.結果被餵了.. 出來真的很小隻..大概狂蟻大小.. ...
|
|
謝謝分享經驗
下面引用由SUMMER在 2009/07/17 01:00pm 發表的內容: 這隻超可愛小型螳螂....微翅跳螳 之前野外也有發現 跟貼兩張... em25:
|
|
感謝SUMMER大分享圖片 |
頂部 |
|
|